土地情報

岩手県盛岡市の東南に位置する地域で、市中心部から南へ約4キロの北上川の東岸に広がっています。山手の傾斜地にはりんご園が連なり、温暖な住み良いところとして知られています。
- 価格
- 22,000,000円
- 土地面積
- 308.16㎡/93.21坪
- 所在地
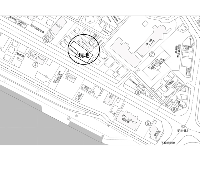
- 盛岡市南大通3丁目90-6,90-7
| 呼称 | 盛岡市南大通3丁目90-6,90-7 |
|---|---|
| 所在地 | 盛岡市南大通3丁目90-6,90-7 |
| 交通 | JR仙北町駅 徒歩8分(680m) JR盛岡駅 徒歩30分(2.2km) |
| 価格 | 22,000,000円 |
| 面積 | 308.16㎡/93.21坪 |
| ⽣活関連施設 | 南大通郵便局 500m 遠山病院 650m |
| 通学区 | 大慈寺小学校(杜陵小学校) 810m(950m) 下橋中学校 820m |
| 詳細情報 | 【面積】 308.16㎡/93.21坪 【地目】 宅地 【用途】 近隣商業地域 【道路】南側公道幅員19.3m 接道14.81m 【建蔽率】 80% 【容積率】 200% 【制限】第3種市街地景観区域/公共交通沿線居住区域/準防火地域 【設備】 ガス/都市ガス 水道/私設管25mm 汚水/公共下水道 トイレ/公共下水道 接道/南側公道幅員19.3m 接道14.81m 【その他】 ● 都市ガスを引込む際には盛岡ガスとの協議が必要です● 小学校名欄のかっこ内に書かれている学校は、申請手続きにより就学が許可される学校です。詳細は市役所にお問い合わせください 【取引態様】 媒介 仲介手数料 / 720,000円 |
| 備考 | この土地の売買は、(株)タキムラとの建築請負契約成立を条件とします。 この期間内に建築請負契約を締結されなかった場合は土地売買契約は白紙となり、 受領した金員は無利息で全額お返しします。 また、解約になった場合には、売主様への土地の所有権移転登記を買主様の責任とご負担で行っていただきます。 |
| 免許番号 | (社)岩手県宅地建物取引業協会会員 建築業岩手県知事許可(般・2)第4821号 宅地建物取引業・岩手県知事(12)第1024号 東北地区不動産公正取引協議会加盟店事業者 |
2024-08-20
取引条件の有効期限情報提供日 :次回更新日 :